| 1.対象の概要 |

■ 敷地概要
- 敷地面積 : 約 2,200u
- 買収面積 : 約 600u
- 残地面積 : 約 1,600u
- 取得割合 : 約 27.3%
- 建築基準法の用途地域制限
- 建築基準法の建築制限
- 建ぺい率 : 50%
- 容積率 : 100%
- 防火指定 :防火指定なし
■ 建物の概要
建物の構造・用途・面積
| No |
構造・階数 |
用途 |
建築面積 |
延床面積 |
備考 |
| A棟 |
木造平屋建 |
車庫 |
55.00 |
55.00 |
全部支障 |
| B棟 |
土蔵造2階建 |
倉庫 |
25.50 |
51.00 |
全部支障 |
| C棟 |
木造平屋建 |
倉庫 |
60.00 |
60.00 |
全部支障 |
| D棟 |
木造平屋建 |
倉庫・作業場 |
20.00 |
20.00 |
|
| E棟 |
木造2階建 |
倉庫 |
58.00 |
100.00 |
|
| F棟 |
木造2階建 |
専用住宅 |
210.00 |
300.00 |
|
| 計 |
|
|
428.50u |
586.00u |
|
■ 建物と敷地内の使用状況等
- A棟には、乗用車4台が保管されています。
- B棟、C棟及びE棟は、農器具等を保管する場所として利用されており、C棟には農作業車1台、E棟には軽トラック1台が、それぞれ保管されています。
- D棟は収穫した農作物を、保管及び加工する場所として利用しています。
- F棟には所有者家族が、居住しています。
- 敷地中央部には、庭木等が鑑賞用として植栽されています。
- 所有者は、生産農家であり、空地部分は収穫した農作物の洗浄、箱詰、器具の手入れ等の作業スペースとして利用している他、車の切り返しスペースとしても利用しています。
|
|

|
| 2. 検討のポイント |
- A・B・C棟のみが、支障となること。
- 再配置可能な残地が有ること。
-
敷地の空地部分は、作業スペース及び車両切り返しスペースとして利用されていること。
-
農器具等は、それぞれ倉庫の1階部分に保管され、2階部分には日用品等が保管されていること。
- それぞれの倉庫には、入口まで車で乗り入れ、農器具等の般入出を行っていること。
|
| 4. 考えられる案 |
残地内の再配置において、曳家工法と再築工法それぞれ考えられますが、A〜E棟は建物も古く、構造的にも補強が必要となることから、経済的に曳家工法は再築工法よりも高額となるため、今回は再築工法を前提に検討を行います。なお、法制的には、建築基準法上残地に各建物を従前の形状で配置することは、問題有りません。(下記参照)
残地面積=1600u、建築面積=428.50u、延べ面積=586.00u
建ペイ率=1,600×0.5= 800.00u > 428.50u 適 合
容 積 率=1,600×1.0=1,600.00u > 586.00u 適 合
|
|
| <第一案> A・B・C棟 再築工法 |
直接支障となるA・B・C棟のみを再築し、残地内に再配置する案です。
■ 利点
- 経済的です。
- 従前とほぼ同様の作業スペース及び、車両切り返しスペースが確保できます。
■ 問題点
- 車両動線の確保が困難になります。
- 農器具等の搬入出に支障をきたします。
|
|

第一案では、支障となる建物を、有形的に再配置することは可能ですが、車両動線の確保が困難となります。また、農器具等の搬入出に支障をきたし、農家敷地としての機能も低下するため、従前と同様の機能回復が図れません。
|
|
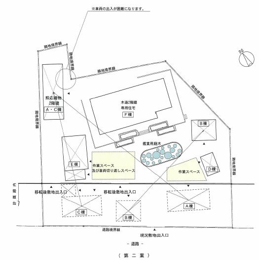
| <第二案> B棟を再築 A・C棟を合棟(2階建による照応建物) |
直接支障となる3棟の内、B棟は従前と同種同等の建物、A・C棟は合棟した2階建の照応建物として、それぞれ再築し、残地内に再配置する案です。 |
|
■ 利点
- 従前とほぼ同様の作業スペース及び、車両切り返しスペースが確保できます。
■ 問題点
- 第一案より高額になります。
- 合棟するA・C棟は、1階に車庫、2階に倉庫を設けるため、農器具等の搬入出に支障をきたします。また、敷地北側に配置するため、車両の出入りも困難となります。
|
|

第二案では、B棟を従前と同種同等の建物、A・C棟は合棟した2階建の照応建物として再配置しましたが、倉庫を2階に設けるため、農器具等の搬入出及び、車両の出入りも困難となり、十分な機能回復が図れません。
|
|
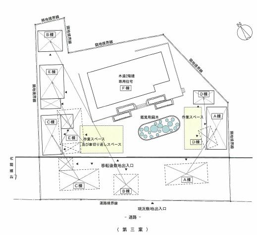
| <第三案>A・B・C・D・E棟 再築工法 |
直接支障とならないD棟(木造平屋建倉庫兼作業場)及び、E棟(木造2階建倉庫)を含めた、5棟(A〜E)を従前と同種同等の建物で再築し、再配置する案です。
|
|
■ 利点
- 従前とほぼ同様の作業スペース及び、車両切り返しスペースが確保できます。
- 車両動線が確保できます。
- 農器具等の搬入出に、支障をきたしません。
■ 問題点
- 関連移転が生じます。
- 移転費用が最も高額になります。
|
|

第三案では、従前と同様の機能回復が図れますが、直接支障とならない建物の関連移転が生じることにより、移転費用が最も高額となります。
|
|
| 5. まとめ |
| 以上の3つの案をまとめると下記の表になります。 |
| 移転方法 |
第一案 |
第二案 |
第三案 |
| 移転方法 |
再築工法(3棟) |
再築工法(同種同等・
照応建物) |
再築工法(関連移転) |
| 有形的合理性 |
○ |
○ |
○ |
| 機能的合理性 |
× |
× |
○ |
| 経済合理性 |
○ |
△ |
× |
| 認 定 |
|
|
採用 |
|
本件は、上記の通り第三案が採用となりました。
第三案では、関連移転が生じるため経済的に高額となりますが、他案では十分な機能回復が図れません。よって、従前と同様の機能回復が図れる第三案が採用工法となりました。
このように支障となる建物が、物理的に移転が可能であっても、従来の機能を著しく損なってはなりません。従って、直接支障とならない建物の関連移転も考慮し、建物の用途や構造、使用実態等を十分に調査し、把握した上で検討を行うことが必要です。
|
>>このページの先頭へ
|
|